Terrain - Ch. d'Oka, Oka
Terrain
à vendre
Ch. d'Oka
,Oka
549 000$
- 25100299
- 0
- 0
- 49294pc
- 49294pc
Terrain à usage résidentiel et/ou commercial, affecté par une zone de radon, certaines limitations sont imposées par la municipalité.
Ou appelez maintenant
-Situé sur le chemin d'Oka, maison d'un côté et commerce de l'autre
-Secteur avec restaurants, crèmerie, station d'essence
-Belle visibilité et à proximité de la 640 et du Parc D'Oka
-Zonage résidentiel unifamilial et commercial selon usage C1 et C2 (commerce de détail, services professionnels et spécialisés, vente au détail de produits d'alimentation, service de réparation et d'entretien, et autres services selon la grille d'usage)
-Terrain affecté en partie par une zone radon à faible intensité où l'usage est résidentiel et commercial est permis et une autre partie par une zone à moyenne intensité où c'est seulement commercial(carte disponible)
-Selon les réponses de la municipalité, le "réseau intégrateur", ce qui inclus aqueduc/égout/pluvial, serait disponible puisqu'il dessert les voisins de chaque côté. Il
serait donc possible de s'y raccorder aux frais de l'acheteur
-Aucun test de sol n'a été effectué et le terrain n'aurait jamais été construit par le passé, selon les dires
-Le terrain est sujet aux servitudes usuelles d'utilité publique
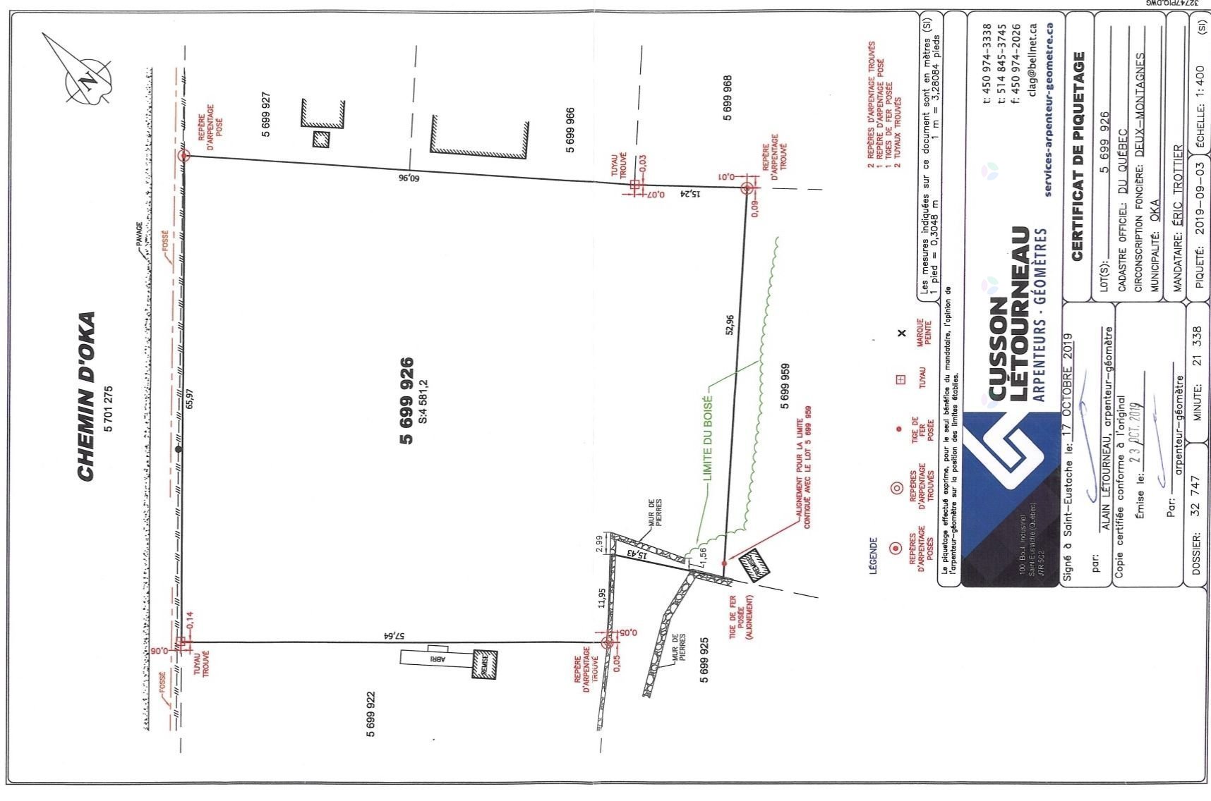
-Un certificat de piquetage est disponible mais pas de certificat de localisation
Prêt pout votre nouveau projet ???
Prêt pour votre nouvelle maison ???
Scolaire: 97$
Bâtiment:
Veuillez prendre note que l'information fournie par ce calculateur hypothécaire n'est pas destinée à servir pour des conseils légaux, comptables ou fiscaux, et ne devrait pas être utilisée à ces fins.
-Situé sur le chemin d'Oka, maison d'un côté et commerce de l'autre
-Secteur avec restaurants, crèmerie, station d'essence
-Belle visibilité et à proximité de la 640 et du Parc D'Oka
-Zonage résidentiel unifamilial et commercial selon usage C1 et C2 (commerce de détail, services professionnels et spécialisés, vente au détail de produits d'alimentation, service de réparation et d'entretien, et autres services selon la grille d'usage)
-Terrain affecté en partie par une zone radon à faible intensité où l'usage est résidentiel et commercial est permis et une autre partie par une zone à moyenne intensité où c'est seulement commercial(carte disponible)
-Selon les réponses de la municipalité, le "réseau intégrateur", ce qui inclus aqueduc/égout/pluvial, serait disponible puisqu'il dessert les voisins de chaque côté. Il serait donc possible de s'y raccorder aux frais de l'acheteur
-Aucun test de sol n'a été effectué et le terrain n'aurait jamais été construit par le passé, selon les dires
-Le terrain est sujet aux servitudes usuelles d'utilité publique
-Un certificat de piquetage est disponible mais pas de certificat de localisation
Prêt pout votre nouveau projet ???
Prêt pour votre nouvelle maison ???
